点击小程序:克而瑞·决策专家
在上海这座寸土寸金的城市,容积率1.0意味着什么?简单来说,就是每1平方米土地上只建1平方米的房子——这在当下楼市堪称“奢侈品”。而即将于2026年二季度入市的浦开璀璨江南,正是这样一个超低密度的稀缺存在。
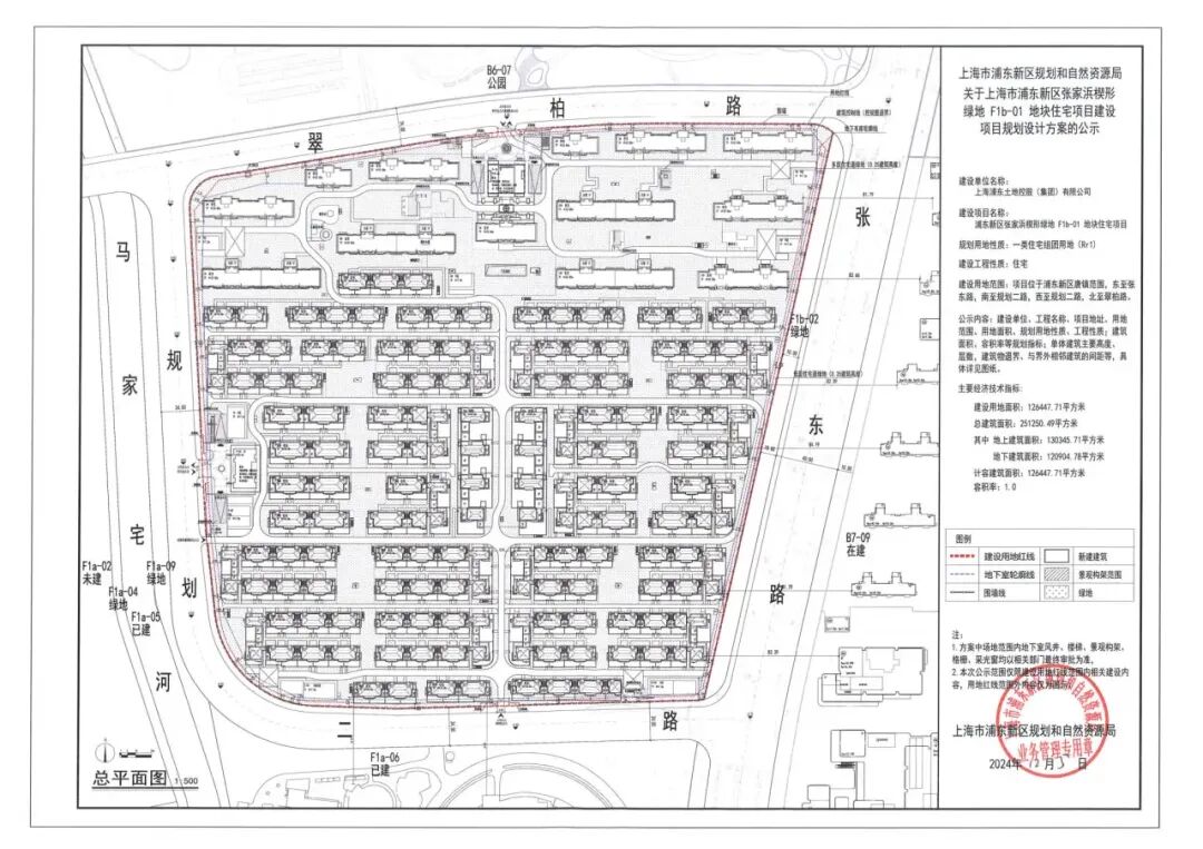
项目位于浦东新区唐镇范围内的张家浜板块,东至张东路、南至规划二路、西至规划二路、北至翠柏路。作为浦东金色中环发展带的重要组成部分,这里被张家浜楔形绿地环绕,生态资源得天独厚。项目总占地约12.6万㎡,规划601套住宅,由国企浦开集团联手绿城管理打造,延续其“江南系”产品基因。
该项目地块紧邻马家宅河,北侧为绿地公园,东北方向还有张江生态公园,内设湖泊,整体生态环境优越。虽然目前周边开发尚处初期阶段,但随着浦东张家浜区域持续推进,未来生活氛围有望显著提升。
户型深度解析
三大产品线精准匹配不同客群
洋房:140-190㎡建面入门级改善首选
对于追求品质生活的年轻家庭或首次置业的高净值人群,建面约140-190㎡的洋房是主力选择。这类产品占项目总户数的约41.25%。
洋房户型注重空间效率与舒适度的平衡。以143㎡建面标准户型为例,通常采用三至四房布局,南北通透,主卧套房配备独立衣帽间和卫浴。客餐厅一体化设计增强家庭互动性;阳台进深充足,可打造小型休闲花园。
预计单价超过13万元/㎡,总价区间约1800-2500万元,适合浦东中产上班族或小户型高端首置者。
联排:240-300㎡建面多代同堂的理想居所
建面约240-300㎡的联排产品占项目总量的48.17%,是占比最高的产品类型。这类住宅拥有独立入户门厅、私家庭院和地下空间,满足多代同堂家庭对私密性和功能分区的需求。
联排通常为地上三层+地下一层结构,首层设置客厅、餐厅及老人房,二层为主卧套房和儿童房,三层可作书房或多功能室。地下空间层高充足,可改造为影音室、酒窖或健身房。庭院面积普遍在50-80㎡,足以打造个性化户外生活场景。
目标客群主要为中高层企业精英或三代同堂家庭,总价预计在3000-4000万元区间,强调低密社区环境与私属空间体验。
合院:265-500㎡建面高净值人士的终极选择
作为项目的塔尖产品,建面约265-500㎡的合院仅占10.58%,专为高净值人士和企业主打造。这类产品拥有更宽阔的庭院、更高的建筑品质和更完善的私属配套。
合院通常采用“前庭后院”布局,部分产品还配备双庭院设计。室内空间开阔,主卧套房面积可达80㎡以上,配备步入式衣帽间、双台盆卫浴及独立书房。地下空间可规划为私人会所,满足商务接待需求。
这类产品总价预计在3500-6500万元,不仅提供奢享居住体验,也具备较强的资产配置价值,契合金色中环发展带的长期定位。
板块价值透视
金色中环的未来已来
浦开璀璨江南所在的张家浜板块,是浦东金色中环发展带的重要节点。根据规划,张家浜楔形绿地总面积达1456公顷,未来将建设成为生态宜居的高品质住区。
交通方面,项目距离在建的轨道交通13号线东延伸段丹桂路站较近,该线路预计2026年建成;同时周边还有14号线金粤路站、金港路站等站点,未来出行便利性将逐步提升。自驾可通过龙东高架路、金科路等快速路网连接市区核心区域。
教育配套方面,3公里范围内有上海福山唐城外国语小学等教育资源。商业方面,南侧规划有商业用地,未来生活便利性将随区域开发同步完善。
从克而瑞数据看,2026年2月浦东金桥板块新房成交极少,仅1套90-110㎡产品成交,而200㎡以上大户型尚无成交记录。这说明区域内高品质低密产品供应稀缺,浦开璀璨江南的入市或将填补这一市场空白。
市场对标
13万+/㎡的价格是否合理?
参考同片区已入市项目,浦开云璟华庭首推220套房源开盘即罄,均价81800元/㎡,体现了该区域的市场热度。近期同板块的浦开摩登江南项目,售价已达13.1万元/㎡。
考虑到浦开璀璨江南容积率仅为1.0(远低于浦开云璟三期的1.5),且产品形态以低密洋房、联排、合院为主,预计均价超过13万元/㎡具备合理性。项目全装修交付,装修标准达3000元/㎡,进一步提升了产品价值。
数据显示,周边项目成交均价普遍在8-12万元/㎡区间,合生·东郊别墅成交价甚至达到14.5万元/㎡。结合更低的容积率和更优的产品设计,浦开璀璨江南13万+/㎡的预期价格具备支撑基础。特别是浦开摩登江南已实现11.6万元/㎡的成交均价,为本项目提供了有效参照。
投资价值研判
现在入手是机会还是风险?
对于考虑入手浦开璀璨江南的购房者,需理性看待当前的机遇与挑战。
优势方面:首先,容积率1.0在上海新房市场极为稀缺,低密属性有助于长期保值;其次,项目由国企浦开集团与绿城管理联合打造,品质有保障;再次,地处浦东金色中环发展带,享有区域发展红利。
风险方面:目前周边配套仍在建设中,生活便利性有待提升;项目预计2026年二季度入市,将面临同期新盘竞争;且总价门槛较高,流动性相对较弱。
从周边二手房走势看,2025年成交均价基本维持在6-7万元/㎡区间,2026年2月受春节淡季影响有所回落。长期来看,随着区域配套完善和地铁通车,房价仍有上升空间。
总的来说,浦开璀璨江南更适合自住兼投资的改善型买家,而非短期投机者。如果你看重低密居住体验、愿意等待区域成熟,并有足够资金实力,那么这个项目值得关注。
你认为在上海这样的超一线城市,花13万+/㎡购买容积率1.0的低密住宅值得吗?欢迎在评论区分享你的看法!
本文由上海区域分析师【贾夏冰】,通过人机协作综合使用克而瑞·决策专家的AI 文章,(https://www.dichanai.com/) 功能撰写 。
特别提醒
1. 本产品生成的内容是由AI生成,为算法和模型的运算结果,仅供参考,不构成投资建议。2. 本产品生成的内容(包括但不限于图片、数据、文字等),并未获得所有的相关权利方的授权,用户需确保其使用、传播(特别是商业用途)时不侵害他人享有的权益。3. 本产品运营方不对用户因使用生成内容而导致的任何直接、间接或附带后果负责。

